Fresno Yosemite International Airport | |||||||||||||||
---|---|---|---|---|---|---|---|---|---|---|---|---|---|---|---|
![]() | |||||||||||||||
![]() USGS aerial image, 2020 | |||||||||||||||
Summary | |||||||||||||||
Airport type | Public / Military | ||||||||||||||
Owner | City of Fresno | ||||||||||||||
Operator | City of Fresno Airports Division | ||||||||||||||
Serves | Fresno, San Joaquin Valley, Yosemite National Park, Sequoia National Park, Kings Canyon National Park | ||||||||||||||
Opened | June 1946 | ||||||||||||||
Elevation AMSL | 336 ft / 102 m | ||||||||||||||
Coordinates | 36°46′36″N 119°43′08″W / 36.77667°N 119.71889°W | ||||||||||||||
Website | flyfresno | ||||||||||||||
Maps | |||||||||||||||
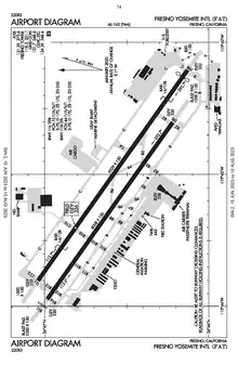
![]() FAA airport diagram | |||||||||||||||
![]() ![]() FAT ![]() ![]() FAT ![]() ![]() FAT | |||||||||||||||
Runways | |||||||||||||||
| |||||||||||||||
Statistics (2022) | |||||||||||||||
| |||||||||||||||
Fresno Yosemite International Airport (IATA: FAT, ICAO: KFAT, FAA LID: FAT) is a joint military–public airport in Fresno, California, United States. It is the primary commercial airport for the San Joaquin Valley and three national parks: Yosemite, Sequoia and Kings Canyon. It offers scheduled passenger flights to several major airline hubs in the United States and international service to Mexico. The facility opened in June 1942 as Hammer Field, a military airfield. The airport is owned and operated by the city of Fresno and operates two runways on a property spanning 1,728 acres (699 ha). Its airport code "FAT" stands for Fresno Air Terminal, a former name for the airport.
Due to its central location within the state, the airport is home to several military, law enforcement, firefighting, and medical air units. The Fresno Air National Guard Base on the southeast corner of the airport is home to the 144th Fighter Wing of the California Air National Guard. The Fresno Air Attack Base on the eastern side of the airport supports aerial firefighting aircraft. Other government and military operators with facilities at the airport include the California Army National Guard, the California Highway Patrol, the Fresno County Sheriff's Office, and the Fresno Police Department.
Fresno is home to a large operations base for SkyWest Airlines, the nation's largest regional airline.
History
Military beginnings
The Fresno Yosemite International Airport opened as a military airfield in June 1942, just six months after Japan's attack on Pearl Harbor, leading the United States to enter World War II. The new airfield was named Hammer Field and was used by the United States Army Air Forces as a training facility for the new pilots of the Fourth Air Force. It had a single northwest/southeast oriented runway with a length of 7,200 feet (now runway 11L/29R).[3]

Night fighter training, using Northrop P-61s, was moved to Hammer Field in January 1944, initially with the 481st Night Fighter Operational Training Group, replaced by the 319th Wing in May 1944. Training for the Bell P-59 Airacomet was added to the 319th mission in 1944, as well, confirmed Col. Ralph H. Snavely, commanding officer of the 319th Wing.[4]
At the time, civil and commercial aviation used Chandler Field that had opened in November 1929.[5] Chandler is 1.5 miles (2.4 km) west of downtown Fresno, on a small site. Less than a decade after it opened, it was clear that the small runway at Chandler would not be able to accommodate coming larger airliners.[5]
Conversion to civil use
After World War II, Hammer Field was inactivated by the Army Air Forces and the city of Fresno saw an opportunity to use the site to create a commercial airport much larger than Chandler Field. In 1946 the War Assets Administration reallocated the property to the city, which immediately began construction on a passenger terminal on the northeast side of the airfield. In 1948, the newly renamed Fresno Air Terminal (FAT) opened. Trans World Airlines (TWA) and United Airlines flights to San Francisco/Oakland and Los Angeles moved from Chandler Field to the newly opened airport. Chandler Field was retained by the city of Fresno as a reliever airport and continues to operate as the Fresno Chandler Executive Airport.[6][5]
Strategic Air Command facilities for Convair B-36 operations were initially proposed for “Hammer Air Force Base”, but objections from the City of Fresno led them to be changed to Travis Air Force Base instead. The Fresno upgrade was projected to cost $22.3 million.[7]
The California Air National Guard moved to the airport in the 1950s and established the Fresno Air National Guard Base on the southeast corner of the property. The guard also built munition storage bunkers along the northern edge of the airport grounds.[8] The 194th Fighter Squadron moved to the facility in late 1954, followed by the 144th Fighter Wing in 1957.[9] As the guard moved in, a second parallel runway (11R/29L) was constructed and opened to traffic in 1956.[6]

Construction started on a new, larger passenger terminal in 1959 on the south side of the field.[6] The building was a long, simple shape that housed a baggage claim area, a central lobby, and a ticketing area. The $1.5 million terminal had long walls of glass for the baggage claim and the ticketing areas, which book-ended the central lobby of solid masonry block which bears a venetian glass mosaic called "Sky and Ground" from Raymond Rice.[10][11] From the central lobby, passengers used a tunnel to reach the open-air, remote concourse where they boarded planes from ground level.[6] The terminal opened on March 28, 1962 and shortly after received an award from the San Joaquin Valley Chapter of the American Institute of Architects.[12] Although renovated, the original terminal building is still in use today for the same functions that it was designed for. The current air traffic control tower was built around the same time as the terminal and opened in 1961.[6]
Pacific Air Lines was first to schedule jets to Fresno, with Boeing 727-100s in 1966.[13] United was the dominant carrier at the airport throughout the mid-1970s. At the airlines peak, United operated daily DC-8s jet service to Denver, San Francisco and Los Angeles. Hughes Airwest and PSA jets also served the airport at this time.[14]
The first significant expansion to the passenger terminal came in 1978 when a concourse was built straight out from the central lobby. This building, unlike the original remote concourse, was enclosed and climate-controlled.[6]
The airport saw significant down-gauging of flights following airline deregulation in 1978. By 1983, the airport mainly saw turboprop service from smaller carriers and United Airlines ended intrastate flights from Fresno.[15] Delta Air Lines operated mainline jets to Los Angeles, Salt Lake City and Reno in the mid-1990s,[16] but by 1999, the only mainline jet flights remaining at Fresno was the American Airlines service to Dallas/Fort Worth.[17]
In 1996, the airport's name was changed from Fresno Air Terminal to Fresno Yosemite International Airport to attract out-of-state and international visitors to Yosemite National Park to the airport. Despite the new name, scheduled international commercial flights would not begin operating in Fresno for nearly a decade.[18] At the time, airport managers petitioned the FAA for a new identifier code to replace FAT, which they said carries a negative connotation and no longer matched the initials of the airport. The request was denied, with the FAA reaffirming its long-standing policy to only issue a new identifier code when an airport is physically relocated.[19] In recent years, airport managers have embraced the FAT identifier code, naming a major expansion project “FATforward.”[20]
Fresno has been the headquarters for a few airlines throughout its history. In the mid-1980s, Far West Airlines was founded in Fresno and used the airport as a small intrastate hub serving Burbank, Los Angeles, Modesto, Oakland, Orange County, Sacramento, and San Jose.[21] Air 21 was founded in Fresno in January 1994 and operated service between several western cities before ceasing operations in January 1997.[22] Allegiant Air was founded in Fresno in January 1997, and its headquarters were located in the city until it declared bankruptcy in 2000, and the new CEO moved its headquarters to a suburb of Las Vegas.
Expansion and remodeling

At the turn of the 21st century, the city began a series of projects that would expand and remodel the passenger terminal. The first and most notable project was the expansion of the boarding areas. The project, designed by DMJM Aviation extended the concourse further, creating a new two-level section with six jet bridges. Before this project passengers boarded all planes using stairs or ramps. When completed in 2002, the new concourse building received praise for its design and was named one of the top 10 projects in Fresno Architecture for the decade with critics commending the use of steel and the curved glass facade.[23]
A U.S. Customs and Border Protection facility for international arrivals was added in early 2006, giving federal officials space to check passports and complete customs work. Completion of that facility allowed Fresno to begin receiving scheduled international commercial flights. The first international service started in April 2006 with Mexicana operating flights between Fresno and Mexico City with an intermediate stop in Guadalajara.[18]

With the new concourse extension and new international arrivals facility completed, portions of the original 1960s terminal building were given a major renovation. The project was designed by CSHQA and completed in several phases between 2006 and 2010. While keeping the facility operational, nearly every part of the building was updated including the baggage claim area, security checkpoint, central lobby, ticketing area, and low-level concourse. The centerpiece of the project was “Sequoiascape,” a public art display in the central terminal lobby that depicts life-size, replica sequoia forest, reflecting the airport's role as a gateway to the nearby national parks. The giant trees appear to be supporting the roof of the terminal and are surrounded by fallen logs, and other foliage, surrounded by the split rail fencing and granite curbs that visitors would see at the region’s national parks.[24][25][26][27]
A consolidated rental car facility opened at the airport in 2009. The $22 million project allows customers of most rental car companies to pick up and drop off vehicles just outside the terminal. The project also included the construction of maintenance buildings and storage lots on a nearby, 11-acre site.[28]
Direct international service from Fresno briefly ended in August 2010 when Mexicana went bankrupt. International service resumed, with more flights, less than a year later when both Aeroméxico and Volaris added service between Fresno and Guadalajara in April 2011.[29][30]
The secondary runway (11R/29L) was widened, lengthened and strengthened in a $30 million project completed in October 2012.[31]
Southwest Airlines began serving the airport on April 25, 2021, the first time the airline provided services at Fresno's airport, with daily flights to Las Vegas and Denver.[32]
The airport added a 917-space, four-level parking garage in November 2021. The project cost $32 million.[33]
Future expansion

Fresno Yosemite International Airport is currently working on a $127 million expansion project that will make several changes to the terminal, including the addition of a new concourse building with two new gates that can be used for both domestic and international flights, enlarging the screening area for arriving international passengers, expanding the luggage-handling and sorting area for outbound flights, new shopping/dining areas, and expanding the Transportation Security Administration security checkpoint.[34][35]
Airport managers initially anticipated that construction on the terminal expansion would begin in early 2021 and be operational before the summer 2022 travel season.[36] However, due to the COVID-19 pandemic, the process was delayed, and construction did not start until spring 2023[33] and is now scheduled to be completed in fall 2025.[35][37] The air traffic control tower is also expected to be replaced by 2024 in a $30 million project.[35]
The airport's primary runway (11L/29R) is scheduled to be reconstructed between 2025 and 2027, a $45 million project.[35]
Airline service

Many of the scheduled commercial flights to Fresno use smaller regional jet aircraft operated by regional airlines, and the airport is home to a significant operations base for SkyWest Airlines, the nation's largest regional airline. Fresno does still see mainline jet service on the busiest routes, and while only a few international flights operate to Mexico each day, they are some of the airport's most well patronized.[38]
SkyWest carries about 30% of the passenger traffic at Fresno, more than any other carrier.[2] The regional airline operates under contract with mainline partners as American Eagle, Alaska Airlines, Delta Connection and United Express. SkyWest has a 17-acre maintenance and overnight parking facility on the east side of the airfield with 21 aircraft positions, and an approximately 92,000 square foot hangar.[6] SkyWest also uses Fresno as a crew base for pilots and flight attendants.[39]
Additionally, Alaska Airlines, Allegiant Air, American Airlines, Southwest Airlines and United Airlines operate narrow-body aircraft from either the Airbus A320 family or the Boeing 737 family of jets.
Aeroméxico and Volaris both operate international service between Fresno and Guadalajara, Mexico's second-largest city and a major airline hub in the country. Additionally, Volaris also operates service to Morelia, the capital of and largest city in Mexico's Michoacán state and León, the largest city in Mexico's Guanajuato state. Direct international service from Fresno began on April 1, 2006, and are now some of the busiest flights from the airport. As of 2016, international service on Aeroméxico and Volaris accounted for about 6% of all flights to Fresno, but carried more than 13% of all passengers flying to the airport, a combined total of almost 201,000 people.
The carrier that has the longest continuous operation out of the Fresno Yosemite International Airport is United Airlines, which began serving the airport on its opening day; however, some of the flights are operated by SkyWest.
Infrastructure

Airfield
Fresno Yosemite International Airport covers 1,728 acres (699 ha) at an elevation of 336 ft (102 m) above mean sea level, with two paved asphalt runways. The primary runway, 11L/29R, is 9,539 by 150 ft (2,907 by 46 m) and the secondary runway, 11R/29L, 8,008 by 150 ft (2,441 by 46 m).[1][40]
Aircraft
In 2022, 2.1 million passengers passed through the Fresno Yosemite International Airport, representing an 11% increase from the previous record set in 2021, when 1.94 million passengers flew in and out of the airport, and breaking the record for most passengers, previously set in 2019.[41][42]
For the year ending February 28, the airport had 92,361 aircraft operations, an average of 253 per day: 54% general aviation, 26% scheduled commercial, 11% air taxi and 8% military. At that time there were 187 aircraft based at the airport: 100 single-engine, 33 multi-engine, 24 military, 11 jet and 19 helicopter.[1]
Airlines and destinations
Passenger
Airlines | Destinations | Refs. |
---|---|---|
Aeroméxico | Guadalajara | [43] |
Alaska Airlines | Portland (OR), San Diego, Seattle/Tacoma | [44] |
Allegiant Air | Las Vegas | [45] |
American Airlines | Dallas/Fort Worth, Phoenix–Sky Harbor | [46][47] |
American Eagle | Phoenix–Sky Harbor | [46] |
Delta Air Lines | Atlanta (begins June 7, 2024)[48] | [49] |
Delta Connection | Salt Lake City | [49] |
Southwest Airlines | Denver, Las Vegas Seasonal: Dallas–Love (begins June 4, 2024)[50] | [51][52] |
United Airlines | Chicago–O'Hare, Denver | [53] |
United Express | Denver, Los Angeles, San Francisco | [53] |
Volaris | Guadalajara, León/El Bajío, Morelia | [54] |
Cargo
Airlines | Destinations | Refs. |
---|---|---|
Ameriflight | Burbank, Santa Maria, Ontario | [55][56] |
FedEx Express | Denver, Grand Junction, Tulsa, Memphis, Oakland, Visalia | [56] |
UPS Airlines | Louisville, Ontario | [57] |
Statistics
Airport traffic
Top destinations
Rank | City | Passengers | Carriers |
---|---|---|---|
1 | Dallas/Fort Worth, Texas | 204,820 | American |
2 | Las Vegas, Nevada | 203,010 | Allegiant, Southwest |
3 | Denver, Colorado | 136,650 | Southwest, United |
4 | Phoenix, Arizona | 118,850 | American |
5 | Seattle–Tacoma, Washington | 73,810 | Alaska |
6 | Salt Lake City, Utah | 66,620 | Delta |
7 | San Francisco, California | 64,730 | United |
8 | San Diego, California | 53,110 | Alaska |
9 | Portland, Oregon | 31,400 | Alaska |
10 | Los Angeles, California | 21,270 | United |
Airline market share
Rank | Airline | Passengers | Share |
---|---|---|---|
1 | SkyWest Airlines | 614,000 | 31.16% |
2 | American Airlines | 582,000 | 29.54% |
3 | Southwest Airlines | 355,000 | 17.99% |
4 | Allegiant Air | 150,000 | 7.15% |
5 | United Airlines | 141,000 | 7.15% |
— | All others | 129,000 | 6.54% |
Passenger traffic
Year | Passengers | Change | Fresno Yosemite International Airport passenger totals 2002–present (in millions) |
---|---|---|---|
2002 | 908,314 | - | ![]() |
2003 | 915,911 | ![]() | |
2004 | 1,031,291 | ![]() | |
2005 | 1,092,130 | ![]() | |
2006 | 1,189,967 | ![]() | |
2007 | 1,248,255 | ![]() | |
2008 | 1,273,813 | ![]() | |
2009 | 1,128,695 | ![]() | |
2010 | 1,146,685 | ![]() | |
2011 | 1,159,989 | ![]() | |
2012 | 1,240,286 | ![]() | |
2013 | 1,328,972 | ![]() | |
2014 | 1,390,704 | ![]() | |
2015 | 1,392,070 | ![]() | |
2016 | 1,540,623 | ![]() | |
2017 | 1,504,763 | ![]() | |
2018 | 1,765,963 | ![]() | |
2019 | 1,964,489 | ![]() | |
2020 | 990,627 | ![]() | |
2021 | 1,948,313 | ![]() | |
2022 | 2,181,841 | ![]() |
Military and government operations
The 144th Fighter Wing of the California Air National Guard is based out of the Fresno Yosemite International Airport.[58] The California Army National Guard also has an Aviation Classification Repair Activity Depot (AVCRAD) at the airport.[6] The depot performs high-level maintenance and repair of Army aircraft. Its jurisdiction covers a 15-state region in the Western United States.[59]
The United States Forest Service, Sierra National Forest and the California Department of Forestry and Fire Protection (CAL FIRE) jointly operate the Fresno Air Attack Base at the airport for fighting forest fires with aerial tankers.[60] The air attack base has a command center and four loading pits where fire retardant is pumped into aircraft with the capacity to load up to 300,000 gallons each day.
Other government operators with facilities at the airport include the California Highway Patrol (CHP), the Fresno County Sheriff's Office, and the Fresno Police Department.
Ground transportation and access
Highways
The airport is located about one mile (1.6 km) north of California State Route 180, with vehicles using Peach Avenue to connect between the airport and the highway.[61] California State Route 180 connects to all of the other freeways in the Fresno area: California State Route 41, California State Route 99, and California State Route 168.[62] Yosemite National Park can be accessed by California State Route 41 and Kings Canyon National Park and Sequoia National Park can be accessed by California State Route 180.[63][64]
Parking
The city of Fresno offers paid on-site parking in a 900 space parking garage south of the airport terminal, a large lot south of the terminal, and several smaller lots east of the terminal. A separate cell phone waiting lot located on the southeast corner of the airport property has stalls, designated for drivers waiting for arriving passengers.[65][66]
Public transportation
Fresno Area Express (FAX) operates two public transit bus routes to the airport, each with half-hourly service.[67] Route 26 Palm / Butler runs between the airport and North Fresno via Southeast and Downtown Fresno (where passengers may transfer to other FAX routes). Route 39 FYI/Clinton runs between the airport and West Fresno.
The City of Visalia operates the V-LINE bus between the airport and the Visalia Transit Center (where passengers can connect to Visalia Transit routes) and the Visalia Airport (which offers V-LINE passengers free long-term parking for up to ten days).[68][69]
Rental car facility
The airport offers a consolidated rental car facility at the west end of the terminal. Nine rental car companies have passenger service counters inside the terminal near the baggage claim area and up to 400 cars can be parked in a lot just west of the terminal building.[28] The 11-acre rental car facility opened in 2009 and was built at a cost of $22 million.[28]
Bicycle
The airport has covered bicycle parking racks located inside the parking garage south of the airport terminal.[70] Nearby roads East Clinton Way, East McKinley Avenue are designated as Class II bike lanes and they connect to the Class I bike path that runs parallel to North Clovis Avenue.[71]
Accidents and incidents
- On December 14, 1994, a private jet on a military training mission, attempting to land at Fresno, crashed onto a street and skidded into an apartment complex, killing both pilots and injuring 21 people on the ground.[72] The Learjet 35, piloted by two civilians and belonging to a Georgia-based company, Phoenix Air Group, was contracted by the US Air Force to provide training for California Air National Guard pilots. The plane had been involved in a war game with an F-16 fighter jet and was on its way back to the airport when the flight crew declared an emergency due to engine fire indications. They directed the plane toward their requested runway but the aircraft continued past the airport. On radio transmissions, the flight crew was heard attempting to diagnose the emergency conditions and control the aircraft, until the plane crashed with its landing gear down about 2 miles (3.2 km) southwest of the airport. It then plowed into an apartment complex and exploded in a fireball. Twelve apartment units in two buildings were destroyed or substantially damaged by the impact or the subsequent fire. The National Transportation Safety Board determined that the probable causes of the accident were improperly installed electrical wiring that led to an in-flight fire which damaged the aircraft's systems causing a loss of control and improper maintenance and inspection of the aircraft.[73]
- On September 13, 2015, a McDonnell Douglas MD-87 jetliner converted for aerial firefighting use as an air tanker operated by Erickson Aero Tanker had an engine failure after taking off from the airport. Pieces of the engine struck a car, damaging it. The aircraft was able to return to the airport safely.[74]
References
- 1 2 3 FAA Airport Form 5010 for FAT PDF. Federal Aviation Administration. effective August 11, 2022.
- 1 2 3 4 "RITA | BTS | Transtats: Fresno, CA: Fresno Yosemite International (FAT)". Bureau of Transportation Statistics. Retrieved December 13, 2023.
- ↑ "Fresno Airports Master Plan – Working Paper #1: Introduction" (PDF). Kimley-Horn. February 2017. Archived (PDF) from the original on December 6, 2018. Retrieved November 2, 2017.
- ↑ "Jet-Plane Training Centered at Fresno". The San Bernardino Daily Sun. Vol. 51. Associated Press. September 30, 1944. p. 2.
- 1 2 3 "Fresno Chandler Executive Airport Website". www.flyfresno.com. Archived from the original on December 1, 2017. Retrieved November 2, 2017.
- 1 2 3 4 5 6 7 8 Fresno Airports Master Plan – Working Paper #2: Inventory (PDF). Kimley-Horn. May 2017. Archived (PDF) from the original on December 11, 2017. Retrieved November 2, 2017.
- ↑ "New Locations For Bases Asked". The San Bernardino Daily Sun. Vol. LVIII, Number 24. United Press. September 27, 1951. p. 5.
- ↑ "Inside the 144th FW". 144th Fighter Wing, California Air National Guard. 2010. Archived from the original on December 31, 2010. Retrieved December 23, 2010.
- ↑ "History of the 144th". Air National Guard – 144th Fighter Wing. February 4, 2013. Archived from the original on March 23, 2018. Retrieved November 2, 2017.
- ↑ Publicly owned art in Fresno, California. Fresno, Calif.: Fresno County and City Chamber of Commerce. 1973.
- ↑ "Mosaics". Estate of Ray and Miriam Rice. Archived from the original on July 20, 2021. Retrieved July 20, 2021.
- ↑ Canty, Donald (July 1962). "New airport design, in the U.S. and abroad" (PDF). Architectural Forum. No. 117. p. 80. Archived (PDF) from the original on July 20, 2021. Retrieved July 20, 2021.
- ↑ "Pacific Air Lines Timetable". Pacific Air Lines. April 30, 1967. Archived from the original on March 14, 2018. Retrieved March 13, 2018.
- ↑ "Fresno Air Terminal Schedule". www.departedflights.com. April 15, 1975. Archived from the original on January 3, 2019. Retrieved November 1, 2018.
- ↑ "Fresno Air Terminal Schedule". www.departedflights.com. July 1, 1983. Archived from the original on January 3, 2019. Retrieved November 1, 2018.
- ↑ "Fresno Schedule". www.departedflights.com. April 2, 1995. Archived from the original on January 3, 2019. Retrieved November 1, 2018.
- ↑ "Fresno Yosemite International Airport Schedule". www.departedflights.com. June 1, 1999. Archived from the original on January 3, 2019. Retrieved November 1, 2018.
- 1 2 "Mexicana Airlines Introduces First International Service between Mexico and Fresno". Hispanic PR Wire (Press release). March 27, 2006. Retrieved December 16, 2017.
- ↑ Fresno Yosemite International (2010). "Frequently Asked Questions". City of Fresno. Archived from the original on March 20, 2011. Retrieved December 23, 2010.
- ↑ "FATforward". Fresno Yosemite International Airport. Archived from the original on August 23, 2022. Retrieved July 30, 2022.
- ↑ "Far West Airlines September 17, 1984, Route Map". www.departedflights.com. Archived from the original on July 2, 2020. Retrieved July 2, 2020.
- ↑ "Air 21 March 4, 1996, Route Map". www.departedflights.com. Departedflights.com. Archived from the original on June 28, 2019. Retrieved July 2, 2020.
- ↑ "Decade in Review: Top 10 in Fresno Architecture". archop. December 31, 2009. Archived from the original on February 26, 2013. Retrieved May 1, 2013.
- ↑ "Sequoia Trees Create Unique Sense of Place at Fresno Yosemite International Airport" (PDF). CSHQA. July 27, 2009. Archived (PDF) from the original on March 13, 2018. Retrieved December 16, 2017.
- ↑ "Fresno Yosemite International Airport Terminal Renovation". CSHQA. Archived from the original on January 30, 2018. Retrieved December 16, 2017.
- ↑ "Fresno Yosemite Int'l Airport". Roebbelen Contracting, Inc. Archived from the original on June 25, 2018. Retrieved September 4, 2014.
- ↑ "Fresno Yosemite International Airport Profile" (PDF). Fresno Yosemite International Airport. Archived (PDF) from the original on September 27, 2019. Retrieved September 27, 2019.
- 1 2 3 "Rental Car Facility (ConRAC) at Fresno-Yosemite International Airport (FAT)". PGAL. March 8, 2016. Archived from the original on September 26, 2017. Retrieved September 25, 2017.
- ↑ "Volaris to Start Flying from FYI to Mexico". FOX26 News. March 1, 2011. Archived from the original on March 7, 2012. Retrieved March 4, 2011.
- ↑ Sheehan, Tim (March 10, 2011). "Aeroméxico to start Fresno flights April 4". The Fresno Bee. Archived from the original on March 11, 2011. Retrieved March 10, 2011.
- ↑ "Airports $35 Million Improvements Award Provide Economic Boost to Valley" (Press release). Fresno Yosemite International Airport. September 29, 2011. Archived from the original on March 15, 2013. Retrieved June 29, 2012.
- ↑ Vasconcelos, Vanessa (December 16, 2020). "Southwest Airlines to offer flights at Fresno Yosemite International Airport in spring 2021". ABC30 Action News. Archived from the original on December 16, 2020. Retrieved December 16, 2020.
- 1 2 Oliveira, Jason (April 14, 2021). "Progress continues on parking structure at Fresno Yosemite International Airport". ABC30 Action News. Archived from the original on July 16, 2021. Retrieved July 16, 2021.
- ↑ Jacob, Brittany (June 29, 2021). "Traveling this summer? What you need to know before going to Fresno Yosemite International Airport". ABC30 Action News. Archived from the original on July 16, 2021. Retrieved July 16, 2021.
- 1 2 3 4 Thompson, Henry (August 11, 2022). "FATforward Update". City of Fresno. Archived from the original on December 23, 2022. Retrieved August 11, 2022.
- ↑ Sheehan, Tim (February 1, 2019). "More parking coming in Fresno airport expansion. Will new airlines be coming, too?". The Fresno Bee. Archived from the original on April 11, 2019. Retrieved December 17, 2020.
- ↑ Garcia, Nic (November 11, 2021). "More expansion projects in the works at Fresno Yosemite International Airport". ABC30 Action News. Archived from the original on March 6, 2023. Retrieved November 13, 2021.
- ↑ Sheehan, Tim (October 25, 2017). "Volaris adds second Mexico flight destination from Fresno airport". The Fresno Bee. Archived from the original on March 5, 2018. Retrieved March 13, 2018.
In 2016, Volaris and Aeroméxico accounted for about 6% of all arriving and departing flights at Fresno Yosemite International airport, but their combined passenger totals of almost 201,000 represented more than 13% of all passengers flying to and from Fresno last year.
- ↑ "Fact Sheet" (PDF). SkyWest Airlines. April 2018. Archived (PDF) from the original on April 17, 2018. Retrieved April 16, 2018.
- ↑ "FAT airport data at skyvector.com". skyvector.com. Archived from the original on September 7, 2022. Retrieved September 7, 2022.
- ↑ "Fresno airport reaches record for most customers served in 2022". ABC30 Fresno. January 30, 2023. Archived from the original on January 31, 2023. Retrieved January 31, 2023.
- ↑ Sheehan, Tim (January 20, 2020). "Fresno-Yosemite International Airport sets passenger record. Here's where they were going". The Fresno Bee. Archived from the original on February 5, 2020. Retrieved February 4, 2020.
- ↑ "Book Flight". Aeroméxico. Archived from the original on February 7, 2021. Retrieved January 28, 2021.
- ↑ "Route maps". Alaska Airlines. Archived from the original on May 5, 2019. Retrieved January 28, 2021.
- ↑ "Allegiant Interactive Route Map". Allegiant Air. Archived from the original on July 17, 2017. Retrieved January 28, 2021.
- 1 2 "American Airlines Map". Archived from the original on April 8, 2018. Retrieved January 28, 2021.
- ↑ "American Airlines offering direct flights from Fresno to Chicago starting June 3". ABC30 Action News. February 27, 2021. Archived from the original on February 27, 2021. Retrieved February 27, 2021.
- ↑ "Santa Barbara, Yosemite, Tahoe and more: Get there on Delta with new and returning flights for summer 2024". Delta News Hub. Retrieved September 15, 2023.
- 1 2 "Delta Air Lines Map". Archived from the original on April 10, 2021. Retrieved January 28, 2021.
- ↑ Lopez, Marc Anthony (October 26, 2023). "Southwest Airlines adds new nonstop location from Fresno Yosemite International Airport". ABC30 Action News. Retrieved October 26, 2023.
- ↑ "Check Flight Schedules". Archived from the original on February 2, 2017. Retrieved April 24, 2021.
- ↑ "Buy Now! Southwest Airlines Service In Fresno & Santa Barbara To Begin In April 2021 With One-Way Fares As Low As $39". Southwest Airlines Newsroom (Press release). January 21, 2021. Archived from the original on January 28, 2021. Retrieved January 21, 2021.
- 1 2 "U.S. and International Route Maps". United Airlines. Archived from the original on August 8, 2018. Retrieved January 28, 2021.
- ↑ "Volaris Coronavirus (COVID-19) update". Volaris. Archived from the original on January 21, 2021. Retrieved January 28, 2021.
- ↑ "Fleet & Bases". Ameriflight. Archived from the original on April 13, 2018. Retrieved April 12, 2018.
- 1 2 "Flight Finder". FlightAware. Archived from the original on April 13, 2018. Retrieved April 12, 2018.
- ↑ "The Independent Pilots Association". inside.ipapilot.org. Archived from the original on April 11, 2019. Retrieved July 13, 2021.
- ↑ "Fresno Air National Guard Base". Global Security. 2005. Archived from the original on January 28, 2011. Retrieved March 5, 2011.
- ↑ Van Dyke, Col. Mark (August 24, 2015). "1106th TASMG Overview Presentation" (PDF). National Commission on the Future of the Army. Archived from the original (PDF) on March 14, 2018. Retrieved March 13, 2018.
- ↑ "Fresno Air Attack Base factsheet" (PDF). California Department of Forestry. January 2005. Archived from the original (PDF) on May 8, 2018. Retrieved March 13, 2018.
- ↑ Hostetter, George (December 23, 2014). "Fresno's Peach Avenue gets long-sought widening". The Fresno Bee. Archived from the original on April 17, 2018. Retrieved April 16, 2018.
- ↑ "State Route 180". California Highways. Archived from the original on April 17, 2018. Retrieved April 16, 2018.
- ↑ "Driving Directions – Yosemite National Park". National Park Service. Archived from the original on April 12, 2019. Retrieved April 28, 2018.
- ↑ "Driving Directions – Sequoia & Kings Canyon National Parks". National Park Service. Archived from the original on April 12, 2019. Retrieved April 28, 2018.
- ↑ "Parking Information". Fresno Yosemite International Airport. Archived from the original on January 28, 2022. Retrieved March 11, 2022.
- ↑ "Parking map". Fresno Yosemite International Airport. Archived from the original on November 17, 2017. Retrieved September 25, 2017.
- ↑ "Department of Transportation | FAX Routes & Schedules". www.fresno.gov. Archived from the original on September 25, 2017. Retrieved September 25, 2017.
- ↑ Gaytan, Marina (November 17, 2015). "Visalia Transit rolls out V-Line service". Visalia Times-Delta. Archived from the original on May 15, 2019. Retrieved September 25, 2017.
- ↑ "V-LINE Stops". Visalia Transit. Archived from the original on August 5, 2020. Retrieved September 25, 2017.
- ↑ Covered bike racks inside the parking garage at Fresno Yosemite International Airport (Image). August 7, 2022. Archived from the original on August 23, 2022. Retrieved August 8, 2022.
- ↑ "City of Fresno Active Transportation Plan" (PDF). City of Fresno. December 2016. Archived (PDF) from the original on October 26, 2022. Retrieved August 8, 2022.
- ↑ Arax, Mark (December 15, 1994). "At Least 3 Killed as Plane Crashes on Fresno Street : Accident: Learjet has engine trouble while returning to airport. It slams into apartment complex, creating grim scene of destruction". Los Angeles Times. ISSN 0458-3035. Archived from the original on April 10, 2016. Retrieved December 27, 2017.
- ↑ Hall, James E.; Francis II, Robert T.; Hammerschmidt, John (August 1, 1995). Aircraft Accident Report: Crash During Emergency Landing, Phoenix Air, Learjet 35A, N521PA. Fresno, California, December 14, 1994 (PDF) (Report). National Transportation Safety Board. PB95-910404. Archived (PDF) from the original on May 5, 2017. Retrieved December 27, 2017.
- ↑ Gonzalez, Liz (September 14, 2015). "Engine Parts Fall Off Plane, Into Fresno Neighborhood". FOX26 News. Archived from the original on October 6, 2021. Retrieved December 17, 2020.
External links
Media related to Fresno Yosemite International Airport at Wikimedia Commons
- Official website
- FAA Airport Diagram (PDF), effective December 28, 2023
- FAA Terminal Procedures for FAT, effective December 28, 2023
- Resources for this airport:
- AirNav airport information for KFAT
- ASN accident history for FAT
- FlightAware airport information and live flight tracker
- NOAA/NWS weather observations: current, past three days
- SkyVector aeronautical chart for KFAT
- FAA current FAT delay information