Linley House | |
---|---|
![]() | |
Location | 360 Burns Bay Road, Linley Point, Municipality of Lane Cove, New South Wales, Australia |
Coordinates | 33°49′31″S 151°09′03″E / 33.8254°S 151.1507°E |
Official name | Linley House; Linley; Grenaby |
Type | State heritage (built) |
Designated | 2 April 1999 |
Reference no. | 350 |
Type | House |
Category | Residential buildings (private) |
![]() ![]() Location of Linley House in Sydney |
Linley House is a heritage-listed house located at 360 Burns Bay Road, Linley Point in the Lane Cove Council local government area of New South Wales, Australia. It is also known as Linley and Grenaby. The property is privately owned. It was added to the New South Wales State Heritage Register on 2 April 1999.[1]
History
Heritage listing
.jpg.webp)
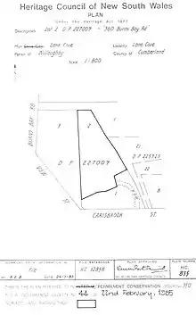
Heritage boundaries
Linley was listed on the New South Wales State Heritage Register on 2 April 1999.[1]
References

Wikimedia Commons has media related to Linley House.
- 1 2 "Linley". New South Wales State Heritage Register. Department of Planning & Environment. H00350. Retrieved 1 June 2018.
Text is licensed by State of New South Wales (Department of Planning and Environment) under CC-BY 4.0 licence.
Attribution
This Wikipedia article was originally based on Linley, entry number 00350 in the New South Wales State Heritage Register published by the State of New South Wales (Department of Planning and Environment) 2018 under CC-BY 4.0 licence, accessed on 1 June 2018.
This article is issued from Wikipedia. The text is licensed under Creative Commons - Attribution - Sharealike. Additional terms may apply for the media files.